In accordance with the Cities, Towns and Villages Act the City provides statutory public notices electronically on the City’s website and through the City’s email subscription service (Subscribe).
Public notices regarding Council business are posted here and are provided for matters such as: public hearings, special meetings, land use and zoning by-law changes, opening and closing of streets, local improvement by-laws, and cancellation of council or committee meetings.
| What is a Public Hearing? | ||||||||
| The Cities Towns and Villages Act requires that a public hearing be held before Council adopts certain kinds of by-laws, like an amendment to the Zoning By-law, or a Community Plan By-law. Public hearings allow the public to provide their views to Council on issues that may have a significant impact on the community or property owners. | ||||||||
| Notice of Public Hearing | ||||||||
|
Notice must be given prior to the public hearing and published in accordance with section 165 of Cities, Towns and Villages Act in one or more of the following ways:
|
||||||||
| How Can I be Heard? | ||||||||
|
Residents are welcome and encouraged to participate at public hearings and to provide comments by emailing cityclerk@yellowknife.ca. For example, in a public hearing about land use, written and verbal comments to Council about the proposed land use should explain your support or opposition on the issue and how the proposed land use will affect you. Council follow the rules in Council Procedure By-law No. 5119. Section 38 to 46 explain the process for statutory public hearings. Written submissions must be provided by 4:30 p.m. on the Wednesday before the statutory public hearing to the City Clerk, Yellowknife City Hall, P.O. Box 580, Yellowknife, NT, X1A 2N4; e-mailed to cityclerk@yellowknife.ca; or faxed to (867) 920-5649. Written submissions submitted for consideration at the public hearing may be inspected by the public at the Office of the City Clerk at City Hall during regular office hours. Please note, those written submissions, including names and addresses, will become part of the public record available for public inspection and on the City's website as part of the agenda package. Any person wishing to make a verbal submission at the meeting is asked to contact the Office of the City Clerk at 920-5646 before noon on the day of the hearing. If a person is unable to attend the public hearing, that person may authorize someone else to speak on their behalf. This authorization must: be in writing, name the individual authorized to speak, indicate the proposed by-law to be spoken to, be signed by the person giving authorization, and be received at the Office of the City Clerk before noon of the day of the Public Hearing. NOTE: Submissions from members of public normally include information such as name, address, phone numbers, and possibly opinions and other personal information. Personal information provided in submissions relating to public hearings is collected for the purpose of receiving public participation in municipal decision-making and scheduling speakers for Council or Council Committee meetings. All materials submitted for Council consideration at the public hearing form part of the public record and will be available for public viewing. |
||||||||
| Watch Public Hearings Online | ||||||||
| Public hearings are broadcast live on the City website. Broadcasts of past public hearings can also be accessed through the City’s Webcast archive. | ||||||||
| Public Hearing Procedure | ||||||||
|
Council Procedure By-law No. 5119, provides that Public Hearings will be conducted in the following manner: INTRODUCTION OF BY-LAW(S) (1) the Presiding Officer shall introduce the proposed by-law; WRITTEN SUBMISSIONS (2) the Presiding Officer shall inform Council of the number and nature of the written submissions received in accordance with Section 43; 10 MINUTE LIMITATION ON PRESENTATIONS (3) no person shall speak for more than ten minutes unless an extension is granted by resolution of Council; THOSE OPPOSED SHALL BE HEARD FIRST (4) individuals opposed to the proposed by-law who have given notice of their intention to speak pursuant to Section 41 shall be invited to speak first by the Chair followed by those opposed to the proposed by-law who have not given notice pursuant to Section 41; THOSE IN FAVOUR SHALL BE HEARD SECOND (5) individuals in favour of the proposed by-law who have given notice of their intention to speak pursuant to Section 41 will then be invited to speak followed by those in favour of the proposed by-law who have not given notice pursuant to Section 41; QUESTIONS TOWARD PRESENTERS (6) after a person has spoken, any Member may ask that person questions followed by any other person present, provided such questions are relevant, directed through the Presiding Officer and are asked in a courteous and respectful manner; QUESTIONS TOWARD ADMINISTRATION (7) after all persons who wish to speak have been heard, Members may ask relevant questions of the City Administrator through the Presiding Officer who may then refer the question to the appropriate Director or other member of City Administration, or answer the question him or herself; RESPONSE TO NEW INFORMATION (8) any person who has made a submission shall have an opportunity to respond to any new information that has arisen during the Statutory Public Hearing for a period not exceeding two minutes unless an extension is granted by resolution of Council; CLOSE OF HEARING (9) the Presiding Officer shall then close the Statutory Public Hearing. NO FURTHER PRESENTATIONS ACCEPTED AFTER CLOSE OF HEARING 46 (1) Once the Presiding Officer has closed a Statutory Public Hearing with respect to the proposed by-law, no additional submissions shall be considered by Council, except at an additional Public Hearing called by Council in accordance with this by-law. (2)Council may by resolution adjourn a Public Hearing to a subsequent Council Meeting. |
||||||||
|
After the Public Hearing |
||||||||
|
CONSIDERATION OF SUBMISSIONS
|
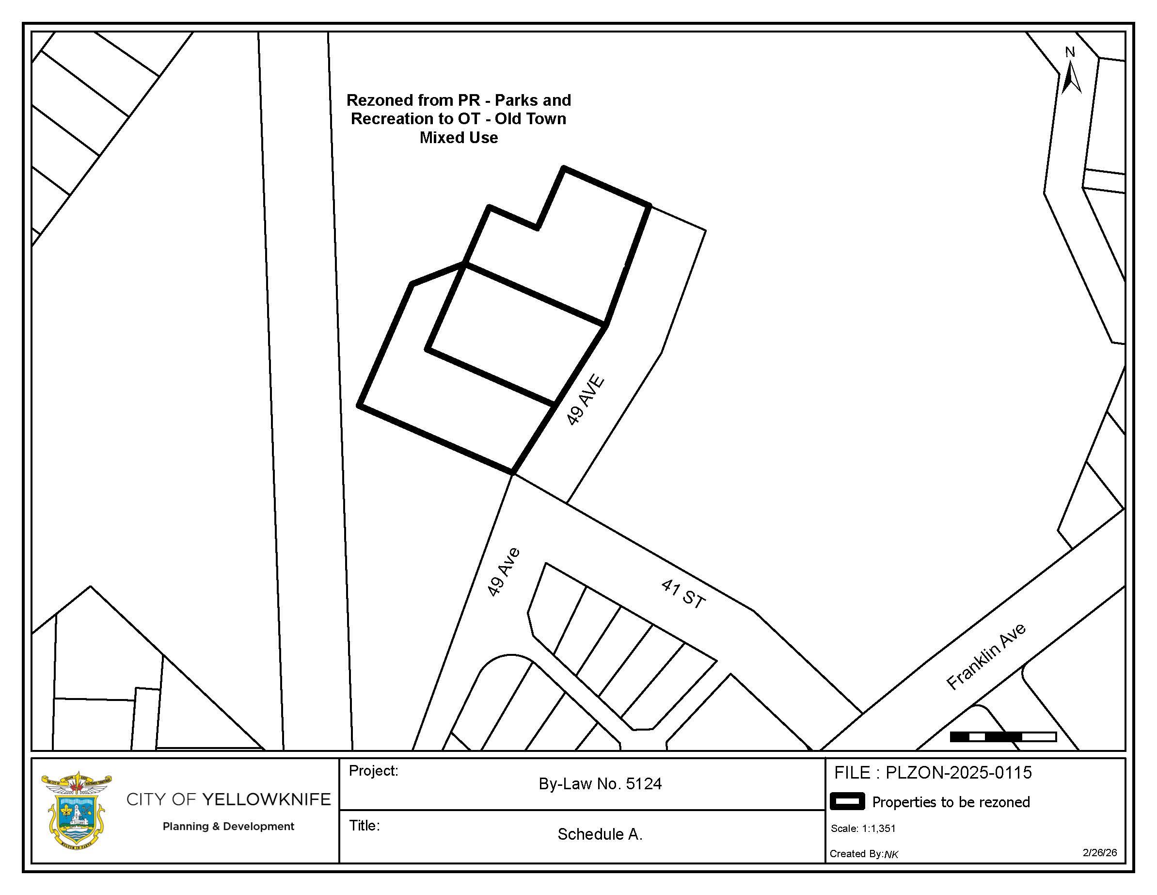
Statutory Public Hearing - By-law No. 5124
The Council of the City of Yellowknife will hold a PUBLIC HEARING at six o’clock in the evening (6:00 p.m.) on Wednesday, March 25, 2026, in City Hall Council Chamber to hear any submissions to By-law No. 5124, a by-law to amend Zoning By-law No. 5045, as amended. The purpose of the Zoning By-law amendment is to rezone three lots - Lots 1 & 4, Block 157, Plan 1385 and Lot 5, Block 157, Plan 4884 from PR – Parks and Recreation to OT – Old Town Mixed Use. Please note Lot 5, Block 157, Plan 4884 is a consolidation of Lots 2(u) & 3, Block 157, Plan 1385 (as indicated in previous notices of this rezoning proposal). The subject land is located at civic address 4002 49 Avenue, at the intersection of 41 Street and 49 Avenue.

Additional information and copies of By-law No. 5124 may be obtained from the Office of the City Clerk at City Hall or by phoning (867) 920-5646 or visiting www.yellowknife.ca/publicnotices.
Written submissions should be forwarded no later than 4:30 p.m. on Wednesday, March 18, 2026 to the City Clerk, Yellowknife City Hall, P.O. Box 580, Yellowknife, NT, X1A 2N4; e-mailed to ; or faxed to (867) 920-5649.
Written submissions filed for consideration at the Public Hearing may be inspected by the public, the Planning and Development Department, or the Office of the City Clerk at City Hall during regular office hours.
Any person wishing to make a verbal submission at the Public Hearing is asked to contact the Office of the City Clerk at (867) 920-5646 before 12:00 noon on Wednesday, March 25, 2026, and whether they will be speaking in favour or against the proposed by-law.
If a person is unable to attend the Public Hearing, they may authorize another person to attend and speak on their behalf. There are specific requirements for this authorization available on www.yellowknife.ca/publicnotices.
ATTENTION:
Residents are advised that Council cannot consider any oral or written submissions received after the Public Hearing on Wednesday, March 25, 2026, has been declared closed.
NOTE:
For more information about Public Hearing, please see Sections 38 to 46 of Council Procedure By-law No. 5199, as amended, or visit our website www.yellowknife.ca/publicnotices.
Statutory Public Hearing - By-law No. 5122 and 5123
The Council of the City of Yellowknife will hold PUBLIC HEARINGS at six o’clock in the evening (6:00 p.m.) on Wednesday, March 25, 2026, in City Hall Council Chamber to hear any submissions to By-law No. 5122, a by-law to amend Community Plan By-law No. 5007, as amended, and By-law No. 5123, a by-law to amend Zoning By-law No. 5045, as amended.
The purpose of these amendments is to re-designate and rezone a small portion of City-owned land for acquisition and consolidation with the adjacent lot (4302 49 Avenue) to develop an accessory storage shed for Jackpine Paddle.

Figure 1. Subject Property in red, adjacent to 4302 49 Avenue
Additional information and copies of By-law No. 5122 and By-law No. 5123 may be obtained from the Office of the City Clerk at City Hall or by phoning (867) 920-5646 or visiting www.yellowknife.ca/publicnotices.
Written submissions should be forwarded no later than 4:30 p.m. on Wednesday, March 18, 2026 to the City Clerk, Yellowknife City Hall, P.O. Box 580, Yellowknife, NT, X1A 2N4; e-mailed to ; or faxed to (867) 920-5649.
Written submissions filed for consideration at the Public Hearing may be inspected by the public, the Planning and Development Department, or the Office of the City Clerk at City Hall during regular office hours.
Any person wishing to make a verbal submission at the Public Hearing is asked to contact the Office of the City Clerk at (867) 920-5646 before 12:00 noon on Wednesday, March 25, 2026, and whether they will be speaking in favour or against the proposed by-law.
If a person is unable to attend the Public Hearing, they may authorize another person to attend and speak on their behalf. There are specific requirements for this authorization available on www.yellowknife.ca/publicnotices.
ATTENTION:
Residents are advised that Council cannot consider any oral or written submissions received after the Public Hearing on Wednesday, March 25, 2026, has been declared closed.
NOTE:
For more information about Public Hearing, please see Sections 38 to 46 of Council Procedure By-law No. 5119, as amended, or visit our website www.yellowknife.ca/publicnotices.
Public Notice - Special Council Meeting March 18, 2026
Public notice is hereby given that the Council of the Municipal Corporation of the City of Yellowknife will hold a special meeting of Council at 12:00 p.m. on Wednesday, March 18, 2026 in the Council Chamber, City Hall.
The purpose of the meeting is to give First, Second and Third Reading of By-law No. 5127, a by-law to declare a one-half (1/2) day civic holiday on Friday, March 20, 2026 to enjoy the Yellowknives Dene First Nation (YKDFN) Spring Carnival.
This Special Meeting has been called by the City Manager of the City of Yellowknife pursuant to Section 27 of the Cities, Towns and Villages Act of the Northwest Territories and Section 9 of By-law No. 5119, the Council Procedures By-law.
Dated this 16th day of March, 2026.
<Original Signed by the City Manager>
Stephen Van Dine
City Manager
